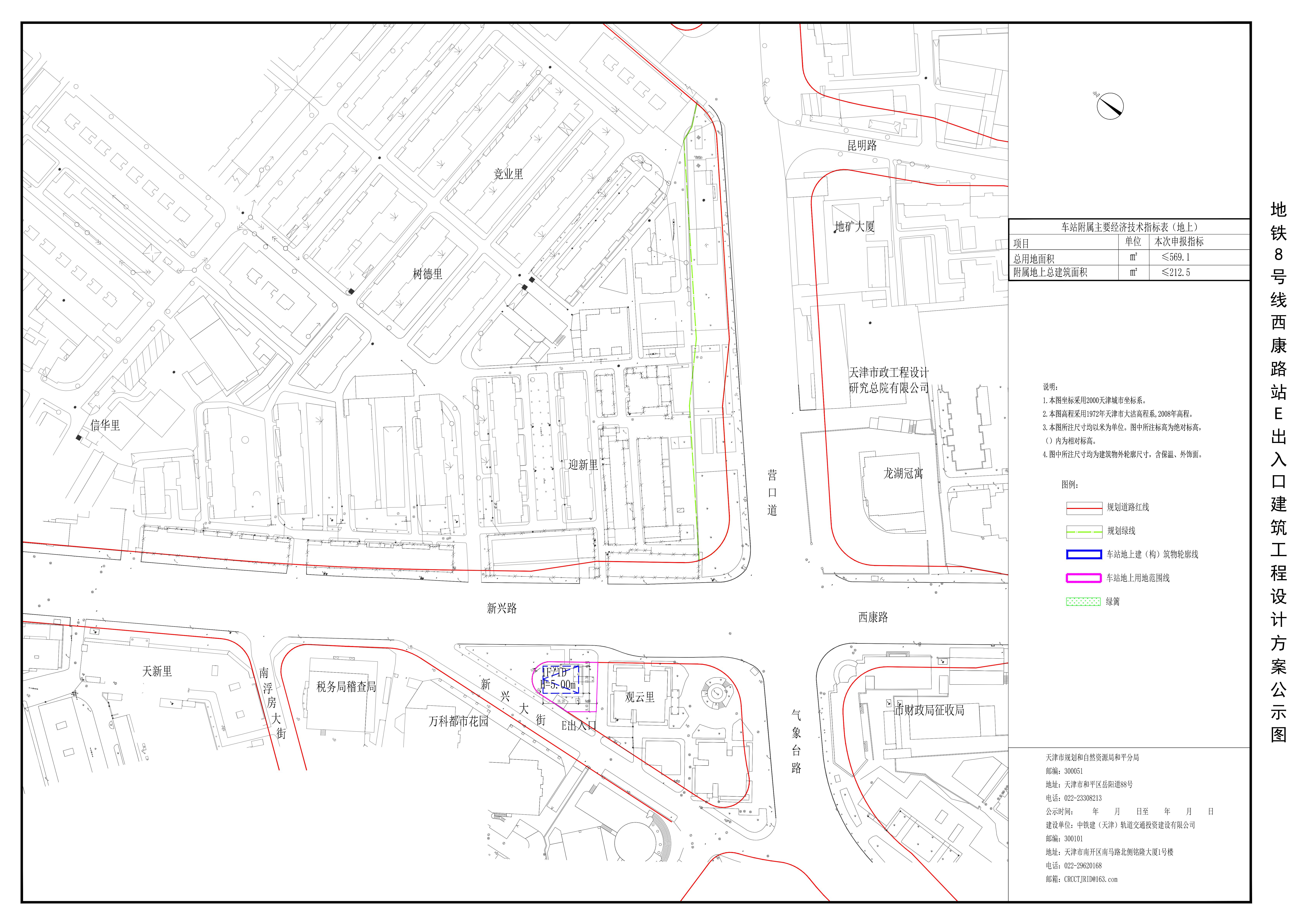
按照《中华人民共和国城乡规划法》要求,现将地铁8号线西康路站E出入口建筑工程设计方案总平面图予以公示,公示时间为2025年5月30日——2025年6月10日。
联系电话:022-23308213
联系地址:开云官网 岳阳道88号天津市规划和自然资源局和平分局

主办单位:开云官网-开云体育官方网站 版权所有:开云官网-开云体育官方网站
津公网安备12010102000334号 津ICP备05000681号 网站标识码:1201010001
本网站违法和不良信息举报电话:022-23196661,举报邮箱:[email protected]